ΚΟΣΜΟΣ
Τυφώνας Melissa: Ενισχύθηκε στην κατηγορία 5
Πλησιάζει την Τζαμάικα με ανέμους 260χλμ και προειδοποιήσεις για καταστροφικές πλημμύρες
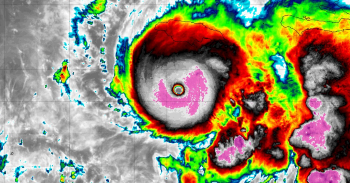
Ο τυφώνας Μελίσσα ενισχύθηκε τη Δευτέρα σε κατηγορία 5, την ανώτατη βαθμίδα της κλίμακας Saffir–Simpson, καθώς πλησιάζει την Τζαμάικα φέρνοντας έως και 76 εκατοστά βροχής και θαλάσσιο κύμα ύψους έως και 4 μέτρων, που απειλεί ανθρώπινες ζωές.
Σύμφωνα με το Εθνικό Κέντρο Τυφώνων των ΗΠΑ (NHC), η Μελίσσα αναμένεται να πλήξει το νησί την Τρίτη, προτού κινηθεί προς την Κούβα και τις Μπαχάμες μέχρι την Τετάρτη.
Το επίκεντρο του τυφώνα βρισκόταν περίπου 205 χιλιόμετρα νοτιονοτιοδυτικά του Κίνγκστον και 505 χιλιόμετρα νότια-νοτιοδυτικά του Γκουαντάναμο στην Κούβα. Οι μέγιστοι σταθεροί άνεμοι έφταναν τα 260 χιλιόμετρα την ώρα, ενώ ο τυφώνας κινούνταν αργά προς τα δυτικά με ταχύτητα μόλις 6 χλμ./ώρα.
Η κατηγορία 5 είναι η υψηλότερη βαθμίδα στην κλίμακα Saffir–Simpson, με ανέμους που ξεπερνούν τα 250 χλμ./ώρα. Η Μελίσσα είναι ο ισχυρότερος τυφώνας των τελευταίων δεκαετιών που πλήττει άμεσα την Τζαμάικα.
Σύμφωνα με τις προβλέψεις, περιοχές της ανατολικής Τζαμάικα ενδέχεται να δεχθούν έως και ένα μέτρο βροχής, ενώ στη δυτική Αϊτή αναμένονται έως και 40 εκατοστά. Το NHC προειδοποιεί για καταστροφικές πλημμύρες και πολυάριθμες κατολισθήσεις.
Ο αργά κινούμενος τυφώνας έχει ήδη προκαλέσει τουλάχιστον τέσσερις θανάτους – τρεις στην Αϊτή και έναν στη Δομινικανή Δημοκρατία, όπου ένα ακόμη άτομο αγνοείται.
«Καλώ τους Τζαμαϊκανούς να πάρουν την κατάσταση στα σοβαρά», δήλωσε ο Ντέσμοντ ΜακΚένζι, αναπληρωτής πρόεδρος του Συμβουλίου Διαχείρισης Κινδύνων Καταστροφών της χώρας. «Μην ρισκάρετε με τη Μελίσσα. Δεν είναι ασφαλές στοίχημα».
Προειδοποιήσεις για την Κούβα – «Ίσως ο ισχυρότερος τυφώνας στη χώρα εδώ και δεκαετίες»
Η Μελίσσα αναμένεται να πλήξει εκ νέου ανατολικές περιοχές της Κούβας αργότερα την Τρίτη.
Σε ισχύ βρίσκεται προειδοποίηση για τυφώνα στις επαρχίες Γκρανμά, Σαντιάγο δε Κούβα, Γκουαντάναμο και Ολγίν, ενώ για την Λας Τούνας έχει εκδοθεί προειδοποίηση τροπικής καταιγίδας.
Οι αρχές προβλέπουν έως και 51 εκατοστά βροχής σε ορισμένες περιοχές, καθώς και ισχυρή θαλάσσοταραχή με σφοδρό κυματισμο στις παράκτιες ζώνες.
Σύμφωνα με τον Εβαν Τόμπσον, διευθυντή της μετεωρολογικής υπηρεσίας της Τζαμάικα, η Μελίσσα θα μπορούσε να είναι «ο ισχυρότερος τυφώνας που έχει πλήξει τη χώρα εδώ και δεκαετίες». Ο ίδιος προειδοποίησε ότι η αποτίμηση των ζημιών και οι εργασίες αποκατάστασης θα καθυστερήσουν σημαντικά εξαιτίας των κατολισθήσεων και των πλημμυρισμένων δρόμων.
Εκτός από τις βροχοπτώσεις, το NHC προβλέπει επικίνδυνη άνοδο της στάθμης της θάλασσας κατά μήκος της νότιας ακτής της Τζαμάικα, με κύματα ύψους έως και 4 μέτρων πάνω από το έδαφος, κοντά στο σημείο όπου ο τυφώνας θα φτάσει στην ξηρά.
«Μην πάρετε ανόητες αποφάσεις», προειδοποίησε ο Ντάριλ Βαζ, υπουργός Μεταφορών της Τζαμάικα. «Βρισκόμαστε σε πολύ, πολύ κρίσιμη φάση τις επόμενες ημέρες».
Καταστροφές σε Αϊτή και Δομινικανή Δημοκρατία
Ο τυφώνας έχει ήδη προκαλέσει εκτεταμένες ζημιές στη Δομινικανή Δημοκρατία, όπου οι αρχές διέταξαν το κλείσιμο σχολείων και δημοσίων υπηρεσιών τη Δευτέρα σε τέσσερις από τις εννέα επαρχίες που παραμένουν σε κόκκινο συναγερμό.
Περισσότερα από 750 σπίτια έχουν υποστεί ζημιές, ενώ 3.760 άνθρωποι έχουν εκτοπιστεί. Οι πλημμύρες έχουν αποκόψει την πρόσβαση σε τουλάχιστον 48 κοινότητες, σύμφωνα με τις αρχές.
Στην Αϊτή, η Μελίσσα έχει καταστρέψει καλλιέργειες σε τρεις περιοχές, συμπεριλαμβανομένων 15 εκταρίων καλαμποκιού, τη στιγμή που 5,7 εκατομμύρια άνθρωποι – πάνω από το μισό του πληθυσμού – βρίσκονται ήδη σε κρίσιμα επίπεδα επισιτιστικής ανασφάλειας, με 1,9 εκατομμύρια εξ αυτών σε επείγουσα ανάγκη.
Η Οργάνωση Τροφίμων και Γεωργίας του ΟΗΕ (FAO) προειδοποίησε ότι οι πλημμύρες εμποδίζουν την πρόσβαση σε χωράφια και αγορές, θέτοντας σε κίνδυνο τη χειμερινή αγροτική περίοδο.
Η Μελίσσα αναμένεται να συνεχίσει να προκαλεί ισχυρές βροχοπτώσεις στις νότιες περιοχές της Αϊτής και της Δομινικανής Δημοκρατίας τις επόμενες ημέρες.
