ΚΟΣΜΟΣ

Ο κυκλώνας Μελίσσα έφθασε στη Τζαμάικα

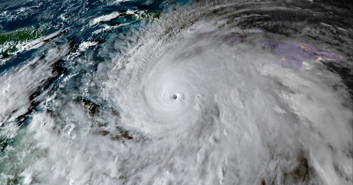
Ο Μελίσσα είναι ο σφοδρότερος κυκλώνας που πλήττει το νησί αυτό τον αιώνα.

Τζαμάικα Μελίσσα
Photo Credits: @Twitter/X

Ο κυκλώνας Μελίσσα, «ένας από τους ισχυρότερους που έχει καταγραφεί ποτέ στον Ατλαντικό», έφθασε στη Τζαμάικα συνοδευόμενος από ανέμους που πνέουν με ταχύτητα 300 χλμ/ω, ανακοίνωσε το Αμερικανικό Εθνικό Κέντρο Κυκλώνων.

Ο κυκλώνας Μελίσσα έφθασε στο νοτιοδυτικό άκρο της Τζαμάικα, με ανέμους 295 χλμ/ω, αναφέρεται στο κείμενο της ανακοίνωσης.

«Για την Τζαμάικα θα είναι ο κυκλώνας του αιώνα, με βεβαιότητα», σχολίασε η ειδική του WMO στους τροπικούς κυκλώνες Αν-Κλερ Φοντάν σε συνέντευξη Τύπου στη Γενεύη.
 

Γίνε ο ρεπόρτερ του CRETALIVE

Στείλε την είδηση