ΚΟΣΜΟΣ
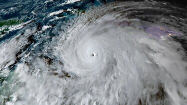
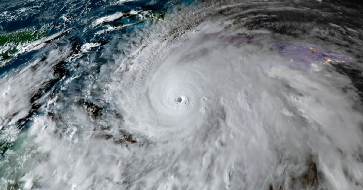
Μετά την Τζαμάικα, ο κυκλώνας Μελίσσα κατευθύνεται προς την Κούβα
Ο κυκλώνας υποβαθμίστηκε λίγο νωρίτερα στην κατηγορία 4 της πεντάβαθμης κλίμακας Saffir-Simpson.
Το μάτι του κυκλώνα Μελίσσα πέρασε από τη Τζαμάικα και πλέον κατευθύνεται προς την Κούβα, ανακοίνωσε το Εθνικό Αμερικανικό Κέντρο Κυκλώνων.
«Το μάτι του κυκλώνα Μελίσσα εγκαταλείπει τον δυτικό τμήμα της Τζαμάικα μέσω της βόρειας ακτής», αναφέρεται στην ανακοίνωση του Κέντρου που καλεί τον πληθυσμό να παραμείνει προστατευμένος αφού η κατάσταση παραμένει «εξαιρετικά επικίνδυνη».
Ο κυκλώνας υποβαθμίστηκε λίγο νωρίτερα στην κατηγορία 4 της πεντάβαθμης κλίμακας Saffir-Simpson.
